X Simge
TR EN
X Simge
TR EN
Belgeli Tür 507
Fotoğraflar 92820
Gözlemler 9875
Videolar 1352
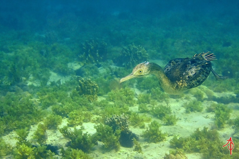
Karabatak

Karabatak >> Great Cormorant >> Phalacrocorax carbo

Bunu geçen sene Fotokrıtiğe yüklediğimde valla kimse anlamadıydı ama benim için hayatımın fotografıdır, sanırım Ornitoya başlamamın ana nedenidir..

Hikayesi ise şöyle; Sene 2009 Agustos ayı, senelerdir gideriz bu sefer bir ilk yaptık erken erken yola düzüldük. Fuwairte geldiğimizde süpriz..! Deniz inanılmaz berrak ve hiç dalga yok. İlk dalışta arıza yapan makinamdan dolayı erken çıktım. Gökhan daha önceden bulduğumuz taşı bulmuş. Kerteriz verdi, ikinci dalışta kerterize göre hiç oyalanmadan direkt kayayı buldum, Gökhan haklıydı inanılmaz balık çeşidi vardı. Kardinallerin 3-5 çeşidi Papağan balıkları, Aslan balığı, Melek balıklarının envaisi, micro Kutu balığı, Gobiler çeşit çeşit, yok, yok. Tam Çölde vaha hesabı...

Gobiyi köşeye sıkıştırdım daldım macroya çekiyorum yanımdan vız birşey geçti, iricede..! Ödüm koptu bir anda acaba köpek balığı veya iri bir barakuda mı dedim. Bir baktım inanamadım insan agızında regulatör(dalgıç olmayanlar için nefes alınan aparatın adı regülatör) varken bağıramıyo yoksa kesin bağırmıştım.

Bir Cormorant (Karabatak) yanımdan vız diye geçti gagasının ucunda da bir zavallı goatfish (bizdeki barbunya benzeri balık) baktım kayanın ilerisinde su yüzüne çıktı ama orada duruyo.. dedim bu tekrar dalacak işi gücü bıraktım tam oturdum dibe elimde kamera ayarları yaptım bekliyorum. Kafayı suya soktu başladım deklanşöre basmaya 4 kare fotoğraf alabildim patlayan flaşlar onu ürküttü yüzeye çıktı ve uçtu gitti.

Dipte hemen LCD ekrandan baktım eveeett.. artık dipte duramazdım. Hızlıca yüzeye çıktım attım agzımda regülatörü...

-Yyaaakaaaaalaaadıııımmm..

Bir baktım sahilden 1 km ilerdeyim beni kim duyacak.

Yer: Fuwarit Kıyıları, Güneydoğu Katar
----------------------------------------------------------------------------

Emin Yoğurtçuoğlu arkadaşıma teşekkürler, türün doğrusu

Sokotra Karabatağı (Phalacrocorax nigrogularis) imiş fakat düzenleye geldiğimde tür değiştirmeme müsade etmiyor nasıl yapabilirim bilen varmı aranızda..!?

AB



3000 karakter kaldı.
Çalışmanın adı
Bu kez suyun altında..
Kuş Türü
Karabatak
Fotoğraf Türü
Aksiyon
Yayın Tarihi
9.07.2010
Çekim Tarihi
14.08.2009 00:00:00
Çekim alanı
Türkiye

Statü »
Tanımlı
Fotoğraf »
Aktif / Onaylı




Türün   201. Fotoğrafı | İzlenme Sayısı »   1013 | Yorum Sayısı »   67 | Beğeni Sayısı »   0 |


Herhangi bir değerlendirme henüz bulunmamaktadır.
Tür ile ilgili bilgiler & değerlendirmeler

moşe
moşe     |     10.01.2011 11:34:00
bu şahane ve inanılmaz bir fikirmiş hocam eline sağlık
CameraObscura
CameraObscura     |     10.01.2011 14:20:00
Onur bey çok teşekkür ederim bunuda NG yarışmasına göndermiştim ama o da seçilmedi :o))

AB
gül
gül     |     30.09.2010 12:14:00
Çok güzel, bir o kadar ilginç ve çekmesi zor bir kare sanırım, tebrikler, selamlar....
Irıshsetter
Irıshsetter     |     12.07.2010 01:23:00
Aman Allahım!
CameraObscura
CameraObscura     |     13.07.2010 10:17:00
Begendiğinize sevindim.

Saglıcakla Kalın..

AB  
Kadird
Kadird     |     11.07.2010 10:07:00
Elinize sağlık, çok değişik, çok güzel...
Selamlar...
CameraObscura
CameraObscura     |     11.07.2010 10:44:00
Kadir hocam begendiğinize sevindim.

Saglıcakla Kalın..

AB  
 
ibrehim
ibrehim     |     11.07.2010 01:22:00
Çok güzel...!!!
CameraObscura
CameraObscura     |     11.07.2010 10:41:00
İbrahim bey, begendiğinize sevindim.

Saglıcakla Kalın..

AB  
 
berece
berece     |     10.07.2010 22:15:00
Nefis çekim.Yeni bir kategori çıktı.Yönetimin dikkatine.
Yalıçapkınınıda bekliyoruz.Tebrikler.
CameraObscura
CameraObscura     |     11.07.2010 10:39:00
Hakan hocam begendiğinize sevindim.

Saglıcakla Kalın..

AB  
 
MuratC
MuratC     |     10.07.2010 20:58:00
Trakusda yeni bir akim baslatacaksiniz:) Super bir kayit ve cok basarili bir cekim, direk baskose... Tebrikler
CameraObscura
CameraObscura     |     11.07.2010 10:38:00
Murat hocam begendiğinize sevindim.

Saglıcakla Kalın..

AB  
 
KANDIZLIK
KANDIZLIK     |     10.07.2010 20:39:00
Tebrikler, çok başarılı, sunumu da zevkle okudum. Emeklerinize sağlık, selam eder, başarılarınızın devamını dilerim .
CameraObscura
CameraObscura     |     11.07.2010 10:38:00
Arsalan hocam begendiğinize sevindim.

Saglıcakla Kalın..

AB  
 
akin
akin     |     10.07.2010 20:20:00
bu işlerde sınır olmadığını, her fotoğrafın daha güzeli ve ilgincinin çekilebileceğini gösteren süper bir karabatak karesi olmuş, tebrikler..
CameraObscura
CameraObscura     |     11.07.2010 10:37:00
Salih bey, begendiğinize sevindim.

Saglıcakla Kalın..

AB  
 
hamisami
hamisami     |     10.07.2010 19:52:00
Yeni bir tür bulmaya yakın başarı. Emeklerinize sağlık.
CameraObscura
CameraObscura     |     11.07.2010 10:36:00
Hami hocam sizin gibi  değerli ustalardan aldıgım bu eleştiriler inanın işimi çok zorlaştırıyor
birden cıtamı çok yükselttiniz hocam napıcam ben şimdi diye kara kara düşünmeye başladım.

Begendiğinize sevindim.

Saglıcakla Kalın..

AB  
 
evlinzi
evlinzi     |     10.07.2010 19:24:00
Gerçekten çok özel bir fotoğraf olmuş,
elinize sağlık,selamlar.
CameraObscura
CameraObscura     |     11.07.2010 10:34:00
Sayın Adaşım begendiğinize sevindim.

Saglıcakla Kalın..

AB  
 
DilekveTunç
DilekveTunç     |     10.07.2010 19:24:00
Muhteşem, Tebrikler. Bence yurtdışı fotoğraf yarışmalarına katılın. Uzun yıllar hafızadan gitmeyece nefis bir fotoğraf.

İzninizle sizin adınızla kendi sayfamızda palaştım.


Daha nice güzel karelere,

Dilek
Marmaris

http://www.facebook.com/photo_search.php?oid=303851160975&view=user#!/group.php?gid=303851160975
CameraObscura
CameraObscura     |     11.07.2010 10:33:00
Dilek Hnm; "lg  ve alakaniz ıçın çok teşekkürler.

Begendiğinize sevindim.

Saglıcakla Kalın..

AB  
 
yalıcapkını
yalıcapkını     |     10.07.2010 18:32:00
Sitede ilk gördüğüm su altı kuş fotoğrafı, hani balik v s çekmek normalde su altında kuş çekmek İnsanın köpeği ısırması gibi olmuş. ben çok beğendim hikayeside çok ilginç geldi ellerine emeğine sağlık başsayfaya çıkmsı gerek.
CameraObscura
CameraObscura     |     11.07.2010 10:32:00
Ali Murtaza hocam begendiğinize sevindim.

Saglıcakla Kalın..

AB  
 
kıbrıslı
kıbrıslı     |     10.07.2010 17:12:00
Fotoğraf kadar hikeyesi de etkileyici.Elinize sağlık.
CameraObscura
CameraObscura     |     10.07.2010 17:20:00
Hüseyin hocam begendiğinize sevindim.

Saglıcakla Kalın..

AB
armadillo
armadillo     |     10.07.2010 16:55:00
Sitede alışık olmadığımız türden çok müstesna bir fotograf.
Nefis bir an tebrikler....
CameraObscura
CameraObscura     |     10.07.2010 17:08:00
Beğenmeniz, övgüleriniz gerçekten gönül okşayıcı çok teşekkürler hepinize Trakuş ailesine gönülden
teşekkürlerimle..!

AB
armadillo
armadillo     |     10.07.2010 16:56:00
Tür konusunda T. Zeybeğe katılıyorum
duruly
duruly     |     10.07.2010 12:42:00
Müthiş bir an, gerçekten tebrikler...
CameraObscura
CameraObscura     |     10.07.2010 16:28:00
Begendiğinize çok sevindim.

Teşekkürlerimle

AB 
 
fkocaeli
fkocaeli     |     10.07.2010 11:56:00
Enfes bir fotoğraf,kompozisyon olmuş,şaşıtıcı, Alper bey ellerinize sağlık tebrikler ediyorum.
CameraObscura
CameraObscura     |     10.07.2010 16:26:00
Begendiğinize çok sevindim.

Teşekkürlerimle

AB
tatlım
tatlım     |     10.07.2010 10:39:00
Fotoğrafla birlikte anlatımınızı algılayınca,heyecanınızı duymamak mümkün değil.Suyun altında bu balıkçılı ilk kez gördüm.Başarınızı gönülden selamlar,şükranlarımı sunarım.
CameraObscura
CameraObscura     |     10.07.2010 10:58:00
Çok çok teşekkür ederim saygılarımla

AB
tzeybek
tzeybek     |     10.07.2010 10:19:00
Öncelikle tepeli karabatak olduğunu düşünüyorum.Harika bir fotoğraf..Tebrikler..Selamlar..
CameraObscura
CameraObscura     |     10.07.2010 10:57:00
Tür tespiti için teşekkürler..

Begendiğinize çok sevindim.

Teşekkürlerimle

AB  
tuncerto
tuncerto     |     10.07.2010 09:40:00
Çok güzel ve özel bir fotoğraf olmuş Alper Bey...
Gözü net ancak biraz sulu çıkmış,.,)))
Sanırım sırada Dere Kuşu var:))
Tebrik ederim..

Başköşeye.....
CameraObscura
CameraObscura     |     10.07.2010 09:56:00
Begendiğinize çok sevindim.

Teşekkürlerimle

AB  
MKutluk
MKutluk     |     10.07.2010 06:47:00
Hep düşünürdüm Karabatakları dalışta çekmek olurmu diye. Oluyormuş demek. Kamerayı yerleştirecek sualtı muhafazam olsa denerdim en azından. Başköşe.
Sevgiyle
CameraObscura
CameraObscura     |     10.07.2010 09:15:00
Vallahi hayatın her zaman süprizlere gebe ve hiç birşeyin buda olmaz denilmeyeceğini bana kanıtlayan
bir kadrajdır bu, resmen bundan sonra hayat görüşümde toptan bir değişim olduğunu söyleyebilirim.

Begendiğinize çok sevindim.

Teşekkürlerimle

AB  
serhattigrel
serhattigrel     |     10.07.2010 02:35:00
Şaşırdım,
İnanılır gibi değil, sitede kuruluştan beri beni şaşıtrtan birçok fotoğraf oldu, hepsi topluluğumuza vizyon kattı. Bize aynı kuşa başka görüş açılarından bakmayı öğretti.
Tebrik ederim, bu fotoğraf da onlardan biri, su altı makinemi artık yanımda taşıyacağım..
CameraObscura
CameraObscura     |     10.07.2010 09:12:00
Hele hele benim gibi bir ornito çaylağı için bu süzleri duymak ayrı şaşkınlık inanın..

Begendiğinize çok sevindim.

Teşekkürlerimle

AB  
birgök
birgök     |     10.07.2010 00:49:00
Alper Bey,kuşun su altı karesi çok güzel olmuş.Bizim için türün ilk sualtı karesi.
Emeklerinize sağlık.
CameraObscura
CameraObscura     |     10.07.2010 09:11:00
Valla camiada ses getirmesi çok çok hoşuma gitti benimde cıtamı yükselttiniz sağ olun var olun..

Begendiğinize çok sevindim.

Teşekkürlerimle

AB  
demokritos
demokritos     |     9.07.2010 23:40:00
Ornitofotoya müthiş bir başlangıç olmuş :)
Tür acaba tepeli karabatak mı diycem, dalarken görmüştüm ama su altında izlemek süper olmalı:)
CameraObscura
CameraObscura     |     10.07.2010 09:10:00
Evet Ornitoya başlmamamı sağladı haspam :o) 

Begendiğinize çok sevindim.

Teşekkürlerimle

AB  
Mustafad
Mustafad     |     9.07.2010 23:05:00
Çıta oldukça yükseldi. Ben daha yerüstünde istediğim gibi fotoğraf çekemezken şimdi denizde fotoğraf çekmek. İyi ki bu fotoğrafı çekip ornifotoya başlamışsınız. Tebrik eder başarılarınızın devamını dilerim.
CameraObscura
CameraObscura     |     10.07.2010 09:09:00
Siz Ustalardan ve Ornito camiasından begeni toplaması çok hoşuma gitti teşekkürlerimle..

Begendiğinize çok sevindim.

AB  
murat07
murat07     |     9.07.2010 22:48:00
Hocam sıradışı nefis bir fotoğraf olmuş, elinize sağlık, selamlar
CameraObscura
CameraObscura     |     10.07.2010 09:07:00
Begendiğinize çok sevindim.

Teşekkürlerimle

AB  
 
sakaladam
sakaladam     |     9.07.2010 22:38:00
Muhteşem bir calışma, tebrikler.
Başköşe.
CameraObscura
CameraObscura     |     10.07.2010 09:06:00
Begendiğinize çok sevindim.

Teşekkürlerimle

AB  
millidere
millidere     |     9.07.2010 22:23:00
çok güzel, ellerinize sağlık, tabiki direk olorak başköşe.

keşke bir sonraki karenizde su dibinde yalıçapkını olsa, çok selamlar.
CameraObscura
CameraObscura     |     10.07.2010 09:06:00
Begendiğinize çok sevindim. Dediğim gibi ben şu anda yurtdışındayım buralarda pek gğrme şansım
olmadı yalıçapkınını sığ sularda avlanıyorsa zor da söyle 3-4 m derinlikte avlanıyorsa olabilir
tabiki sultından çekim aksi takdirde ürküp sizin oldugunuz yere dalmıyacaktır.   

Teşekkürlerimle

AB  
piyongo
piyongo     |     9.07.2010 22:17:00
devrim diye buna denir...süper ellerinize sağlık...
CameraObscura
CameraObscura     |     10.07.2010 09:03:00
Begendiğinize çok sevindim. 

Teşekkürlerimle

AB  
zaferK
zaferK     |     9.07.2010 22:10:00
Trakusta bir ilk...zoru en iyi şekilde başarmışsınız...tebrikler...
CameraObscura
CameraObscura     |     10.07.2010 09:03:00
Siz ustalar kadar olmasa da ornitoya harklı bir bakış olsu sanırım. Begendiğinize çok sevindim.

Teşekkürlerimle

AB  
asude
asude     |     9.07.2010 22:07:00
Hani kırkyıl dursam aklıma gelmezdi denizin dibinden de bir kuş fotografı geleceği...
İnanılmaz güzellikte bir tesadüf bu... Anı ENFES yakalamışsınız Alper Bey...
Olmaz böyle birşey dedirtti bu kareniz.. Çok çok beğendim...
Emeklerinize sağlık... Tebriklerimle...
Selamlar, saygılar...
CameraObscura
CameraObscura     |     10.07.2010 09:20:00
Begendiğinize çok sevindim :o) dedigim gibi hayatımın karesidir.

Sizlerden takdir görmesi de ayrı bir hoş tabiki..

Teşekkürlerimle

AB 
wolfkenan
wolfkenan     |     9.07.2010 21:44:00
Alper hocam eline emeğine sağlık,sizler,ustalar,hocalar,biz üye arkadaşlar büyük bir
topluluk olduk,her tattan çorbaya birşeyler katıyoruz,çok çok güzel bir çalışma. Tebrikler...selamlar,saygılar kardeşim...sağlıcakla...
CameraObscura
CameraObscura     |     10.07.2010 08:56:00
Begendiğinize çok sevindim. FK da zaman zaman yazışıyoruz sizinle görüşmek üzere..

Teşekkürlerimle

AB  
mikrop
mikrop     |     9.07.2010 21:33:00
Tebrikler Alper Bey,
sizi bu kuş kuşculuğa başlatmış; beni de dalgıçlığa başlatacak valla :D mükemmel, eşşiz bir fotoğraf!

Diğer sitede insanların boşluğuna gelmiştir de anlamışlardır, ama burada hakettiği yeri bulacaktır mutlaka.

selamlar...
mikrop
mikrop     |     10.07.2010 12:54:00
baktıkça gaza geliyorum, bunun gibi 1-2 fotoğraf daha yüklerseniz; öyle bir galeyana gelicem ki;
atlayıp yurtdışına da gelirim valla :)
CameraObscura
CameraObscura     |     10.07.2010 09:22:00
Aynen haklısınız beni cidden etkilemişti ve gittim bir sigma 120 - 400 aldım malesef yanlış
şeçimmiş
sonrasında allahtan canon 400 L ye dönmeyi akıl ettimde, ornitodan zevk almaya başladım Sigmanın
performansı korkunçtu kimseye tavsiye etmem.

Valla TR emde olsam buyrun gelin eğitimlerinizi ben vereyim başlayalım derdim :( ama malesef
yurtdışındayım..

AB 
Beğeniler | 0
Bu fotoğraf için henüz bir beğeni bulunmamaktadır.
Tanımlama Yapan Üyeler: caganabbasoglu, Çulluk
Yeni Türler, Belgeli Tür Adedi : 507  
Copyright TRAKUS © 2008 - 2025 Türkiye'nin Anonim Kuşları: Sponsor ESİT